菱田第一公園放射線量測定結果(除染済)
放射線量測定結果
この公園は除染作業が終了しています。

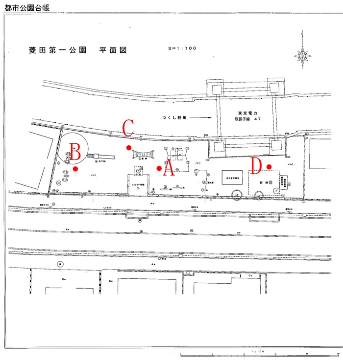
測定者:公園緑地課、測定地点:地上高50センチメートル、単位:毎時マイクロシーベルト
| 測定日 | 天気 | A:公園中央 | B | C | D |
|---|---|---|---|---|---|
| 令和2年11月5日 | 晴 | 0.056 | - | - | - |
令和元年10月2日 |
晴 | 0.059 | - | - | - |
平成30年10月3日 |
曇 | 0.075 | 0.068 | 0.054 | 0.065 |
| 平成29年10月4日 | 晴 | 0.059 | 0.077 | 0.059 | 0.064 |
| 平成29年3月3日 | 晴 | 0.062 | 0.066 | 0.062 | 0.072 |
| 平成28年9月5日 | 曇 | 0.061 | 0.053 | 0.061 | 0.080 |
| 平成28年3月3日 | 晴 | 0.068 | 0.059 | 0.066 | 0.088 |
| 平成27年11月5日 | 晴 | 0.065 | 0.062 | 0.060 | 0.088 |
| 平成27年7月13日 | 晴 | 0.073 | 0.101 | 0.081 | 0.094 |
| 平成27年3月4日 | 晴 | 0.075 | 0.076 | 0.071 | 0.106 |
| 平成26年11月6日 | 曇 | 0.068 | 0.075 | 0.083 | 0.088 |
| 平成26年7月3日 | 曇 | 0.078 | 0.083 | 0.081 | 0.106 |
| 平成26年3月12日 | 晴 | 0.076 | 0.087 | 0.079 | 0.101 |
| 平成25年12月2日 | 晴 | 0.080 | 0.093 | 0.080 | 0.110 |
| 平成25年9月11日 | 曇 | 0.081 | 0.103 | 0.075 | 0.119 |
| 平成25年6月5日 | 晴 | 0.099 | 0.096 | 0.084 | 0.100 |
| 平成25年3月6日 | 晴 | 0.112 | 0.092 | 0.091 | 0.137 |
平成25年2月1日 |
晴 | 0.118 | 0.093 | 0.090 | 0.117 |
| 平成24年12月5日 | 曇 | 0.254 | - | - | - |
| 平成24年9月13日 | 晴 | 0.294 | - | - | - |
| 平成24年3月15日 | 晴 | 0.337 | - | - | - |
これまでの測定結果
測定地点:公園中央(草)、単位:毎時マイクロシーベルト
| 測定日 | 天気 | 地上 1メートル |
地上 50センチメートル |
地上 5センチメートル |
測定機種 | 測定者 |
|---|---|---|---|---|---|---|
| 平成23年9月15日 | 晴 | 0.37 | 0.42 | 0.46 | A2700 | 公園緑地課 |
| 平成23年8月25日 | 曇 | 0.34 | 0.38 | 0.49 | A2700 | 公園緑地課 |
※地上1メートルで大人(中学生以上)への影響、地上50センチメートルで子ども(小学生以下)への影響への目安になります。また、地上5センチメートルはその場所の汚染度合を測る目安になります。
測定方法
測定器をセットしてから1分後の数値を読み取り、30秒ごとに3回記録します。上記の表の数値は、3回の測定値の平均を記載しています。
測定機種
A2700:クリアパルス社製A2700型(CsIシンチレーション式カウンタ)













